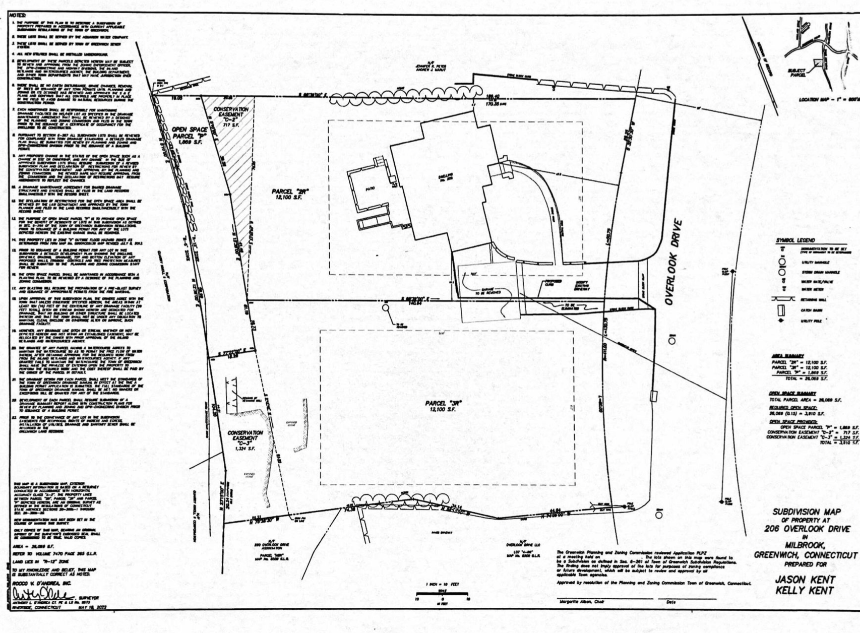
A lot-split that paid off

206 Overlook Drive, in Milbrook sold for $2.5 million in April. The buyer got approval for a .26-acre split from the original .61 acre, and has now sold the smaller lot with the house still on it (thereby saving the cost of removing it himself) for $1.5 million.

From the listing:

FAR has been estimated at 3,811 sq ft for above grade; up to approximately 6,000 sq ft including a lower level and 3rd floor.

No link, because, again, the pictures have been yanked. That’s an unfortunate recent development in local practice.